PHOTO
Rivoluzione, l’ennesima, per la viabilità. La rotatoria di San Lazzaro, diventata famosa per il presidio di quasi un anno portato avanti da Giovanni Faperdue con tanto di cartello con la scritta “Questa rotatoria è da rifare!”, sarà per circa un mese, a partire da lunedì 3 giugno, oggetto di una sperimentazione nell’ambito del Pums (piano urbano della mobilità sostenibile.
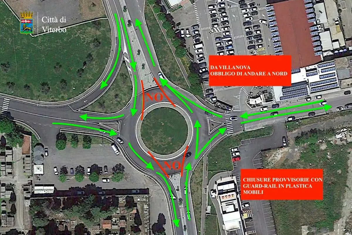
Ne dà notizia il Comune di Viterbo che ha incaricato la Tps Pro di redigere il Piano urbano della mobilità sostenibile. La rotatoria, da anni, è sotto l’indice per l’ingresso a mono macchina che crea ingorghi sia in direzione della Cassia verso Montefiascone che verso il centro città. La sperimentazione, mediante sensori, dovrà valutare l’impatto statistico dei veicoli rispetto all’attuale situazione con la rotatoria. L’interdizione parziale della rotonda verrà segnalata attraverso apposite transenne. In termini pratici, chi proviene da Villanova e si immette sulla rotonda dovrà svoltare obbligatoriamente verso nord, ovvero in direzione Cassia-Montefiascone. Chi proviene dalla Cassia-Montefiascone, alla rotatoria potrà girare verso destra o proseguire dritto e non potrà dirigersi verso Villanova. Per raggiungere Villanova dovrà pertanto proseguire per poi rientrare.
«Abbiamo fatto fare le rilevazioni con le telecamere della rotonda – dice l’assessore alla qualità degli spazi urbani Emanuele Aronne – ed è venuto fuori un flusso di traffico immane. Quello che blocca fondamentalmente la rotonda è il traffico proveniente e andante a via di Villanova. L’esperimento che andiamo a fare serve a dare la possibilità di girare per andare a Villanova: se vieni da nord vai un po’ più giù e da Villanova non puoi rientrare al centro di Viterbo passando dalla rotonda. Tutto deriva dall’avere constatato che ci sono punte di traffico immani con questa viabilità».
Il Pums avrà in questo mese un momento una sperimentazione decisiva dopo anni che gli automobilisti lamentano una viabilità da girone dantesco in direzione della Cassia Nord e verso la Tangenziale ovest.
«Qualcuno dalla soluzione facile – continua Aronne – ha già detto ‘Ci voleva tanto?’, perché non lo avete fatto prima? La risposta è semplice: perché senza dati certe cose non si fanno. Questa soluzione sicuramente migliorerà il problema del traffico intorno alla rotatoria ma, ovviamente, le macchine andranno da un’altra parte. Pertanto abbiamo fatto un programma di valutazione, sempre con le telecamere, di tutti quei punti attorno all’area della rotatoria: il quadrivio di Villanova, l’intersezione con la Tuscanese, la rotonda ex Pesci. Andremo a fare un monitoraggio totale per capire, poi, quanto questa novità influisce su tutto ciò che c’è attorno. Perché se risolviamo un problema ma ne creiamo altri due o tre allora non andrà bene».
L’assessore Aronne è critico con i «soluzionisti ed i leoni da tastiera perché le cose vanno studiate e, fortunatamente, c’è chi lo sta facendo, gli esperti ci hanno mostrato tutta una serie di grafici e di rilevazioni del primo step ed ora facciamo il secondo. Dopo un mese capiremo se la cosa ha funzionato così e lasceremo la soluzione fissa, se invece abbiamo problemi da risolvere vedremo cosa fare. Questo deve fare un’amministrazione seria. Mi pongo una domanda: possibile che quando è stata fatta questa rotatoria tutto questo casino non c’è stato? Come mai?». Aronne poi si concede un piccolo sfogo: «Sono meno di due anni che governiamo – aggiunge – e stiamo mettendo mano a tutte quelle cose di cui la gente continua a lamentarsi. E’ anche umano prendersi un po’ di tempo perché più di questo credo che non sia possibile fare. Sbaglieremo qualcosa certamente ma la vicenda della rotonda andava affrontata». Quindi Aronne si complimenta con Giovanni Faperdue: «Ci ho parlato – conclude Aronne – e quando gli ho spiegato che ci saremmo presi i nostri tempi per fare questa sperimentazione ha deciso di interrompere il presidio sulla fiducia. Questo dimostra che ha a cuore la sua città».



