Il segretario di Confartigianato, Andrea De Simone, ha incontrato commercianti e artigiani: «Sia sospesa quanto prima la sperimentazione sulla rotatoria e siano sentite le associazioni di categoria»
Un confronto con la partecipazione popolare sarà avviato al termine dell’esperimento. Eventuali interventi sull’infrastruttura saranno decisi sulla scorta dei numeri registrati
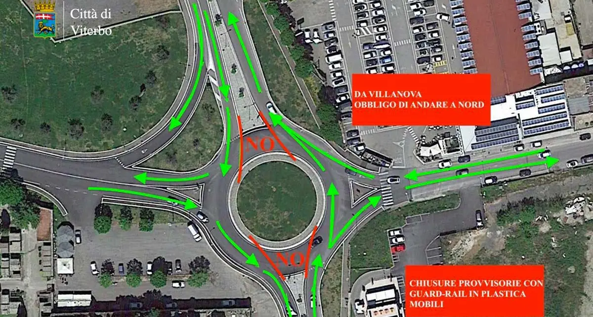
E’ partita ieri la sperimentazione, l’assessore Aronne attende i numeri. Faperdue soddisfatto: «Traffico scorrevole anche nella rotatoria dei vigili del fuoco»